-
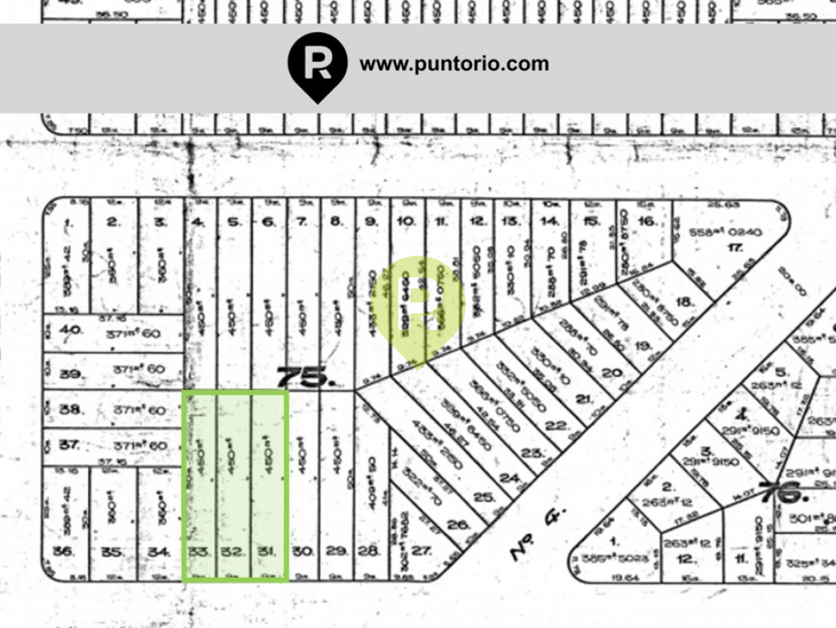
1350 m2
Sup.
Descripción de la Propiedad
Ubicados en San Antonio en la manzana 75 a pocos metros del mar
Gran lote de 1350 m2 conformado por 3 solare de 450 m2. Muy bien ubicado en una zona de importantes propiedades y con muy buen vista al mar.
Caracteristicas
- Zona: San Antonio
- Superficie 1350m2
Otras Caracteristicas
- Frente: 27mts
- Fondo: 50mts




